Khu công nghiệp Quảng Trị (QTIP) – Tổng hợp thông tin

Khu công nghiệp Quảng Trị (QTIP) – Tổng hợp thông tin

– Khu công nghiệp Quảng Trị (QTIP) nằm tại xã Diên Sanh, tỉnh Quảng Trị là dự án hạ tầng công nghiệp trọng điểm quy mô lớn tọa lạc tại miền Trung Việt Nam, đóng vai trò cốt lõi trong quy hoạch phát triển kinh tế và thu hút đầu tư của tỉnh Quảng Trị.

Tổng hợp tất cả thông tin KCN Quảng Trị (QTIP)
Khu công nghiệp Quảng Trị (QTIP) – KHOXUONGDEP.COM.VN

– Dự án được quản lý và triển khai bởi Công ty TNHH Liên doanh Phát triển Quảng Trị, một pháp nhân hình thành từ sự hợp tác đầu tư của ba tập đoàn quốc tế gồm VSIP, Amata Corporation và Sumitomo Corporation.
– Sở hữu tổng mức đầu tư đăng ký hơn 2.000 tỷ đồng cùng quỹ đất quy hoạch rộng trên 480 ha, QTIP được tập trung phát triển hệ thống hạ tầng kỹ thuật đồng bộ để cung cấp mặt bằng sản xuất tiêu chuẩn cao.
– Mục tiêu quy hoạch của dự án là thiết lập một trung tâm sản xuất và dịch vụ logistics hiện đại tại khu vực Bắc Trung Bộ, nhằm đáp ứng nhu cầu mở rộng quy mô nhà máy, lưu trữ hàng hóa và thiết lập chuỗi cung ứng của các doanh nghiệp trong nước cũng như nhà đầu tư trực tiếp nước ngoài (FDI).

I. Vị trí, quy mô, diện tích và chủ đầu tư Khu công nghiệp Quảng Trị (QTIP)

1. Địa chỉ Khu công nghiệp Quảng Trị (QTIP)

– Địa chỉ: Khu công nghiệp Quảng Trị (QTIP) tọa lạc tại 102A Lê Duẩn, Khóm 9, Xã Diên Sanh, tỉnh Quảng Trị.

2. Vị trí Khu công nghiệp Quảng Trị (QTIP)

– Khu công nghiệp Quảng Trị sở hữu vị trí thuận lợi khi nằm gần các tuyến giao thông huyết mạch của quốc gia như Quốc lộ 1A và tuyến đường sắt Bắc – Nam, giúp kết nối nhanh chóng đến các trung tâm đô thị lớn, sân bay và cảng biển trong khu vực miền Trung.
– Đặc biệt, Quốc lộ 15D sẽ đi qua khu công nghiệp, tạo trục giao thông quan trọng kết nối trực tiếp với cảng nước sâu Mỹ Thủy và tuyến cao tốc Cam Lộ – La Sơn, góp phần tăng cường khả năng giao thương và vận chuyển hàng hóa.
– Nhờ vị trí chiến lược cùng hệ thống kết nối giao thông đồng bộ, Khu công nghiệp Quảng Trị (QTIP) mang lại nhiều lợi thế cho các nhà đầu tư thứ cấp, đặc biệt trong hoạt động logistics, vận chuyển nguyên liệu và xuất nhập khẩu hàng hóa.
– Khoảng cách từ QTIP đến các địa điểm quan trọng:

  • 15 km đến Cảng Mỹ Thủy
  • 25 km đến Đông Hà
  • 40 km đến TP. Huế
  • 60 km đến Sân bay Quốc tế Phú Bài
  • 100 km đến Cửa khẩu Quốc tế Lao Bảo
  • 150 km đến Đà Nẵng
  • 148 km đến Sân bay Quốc tế Đà Nẵng
  • 155 km đến Cảng Quốc tế Đà Nẵng
  • 600 km đến Hà Nội
  • 1.200 km đến TP. Hồ Chí Minh

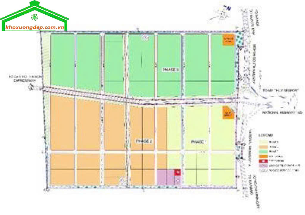
3. Quy mô, diện tích của Khu công nghiệp Quảng Trị (QTIP)

Bản đồ quy mô KCN Quảng Trị (QTIP)
Bản đồ KCN Quảng Trị (QTIP) – KHOXUONGDEP.COM.VN

– Khu công nghiệp Quảng Trị (QTIP) được quy hoạch với tổng diện tích khoảng 481,2 ha, hình thành một khu công nghiệp quy mô lớn tại khu vực Bắc Trung Bộ. Dự án được phát triển theo định hướng khu công nghiệp hiện đại với cơ cấu sử dụng đất hợp lý, bao gồm các khu đất dành cho nhà máy sản xuất, kho bãi logistics, khu hạ tầng kỹ thuật, cây xanh và các công trình dịch vụ hỗ trợ.
– Với quy mô này, khu công nghiệp có khả năng đáp ứng nhu cầu thuê đất của nhiều nhà đầu tư trong các lĩnh vực công nghiệp chế biến, chế tạo, công nghiệp hỗ trợ và logistics. Đồng thời, việc quy hoạch quỹ đất rộng và đồng bộ cũng tạo điều kiện thuận lợi cho việc phát triển các dự án sản xuất quy mô lớn, góp phần hình thành hệ sinh thái công nghiệp và chuỗi cung ứng hiệu quả tại tỉnh Quảng Trị.

II. Chủ đầu tư Khu công nghiệp Quảng Trị (QTIP)

– Khu công nghiệp Quảng Trị (QTIP) được đầu tư và phát triển bởi Công ty TNHH Liên doanh Phát triển Quảng Trị (QTIP) – một liên doanh quốc tế quy tụ các tập đoàn hàng đầu trong lĩnh vực phát triển khu công nghiệp tại châu Á.
– Liên doanh này gồm ba đối tác lớn: VSIP Group đến từ Singapore, Amata Corporation của Thái Lan và Sumitomo Corporation của Nhật Bản. Đây đều là những doanh nghiệp có nhiều kinh nghiệm trong việc phát triển và vận hành các khu công nghiệp quy mô lớn tại Việt Nam và nhiều quốc gia trên thế giới.
– Sự tham gia của các tập đoàn quốc tế uy tín không chỉ mang đến nguồn lực tài chính mạnh mẽ mà còn giúp khu công nghiệp được quy hoạch, xây dựng và quản lý theo các tiêu chuẩn hiện đại. Nhờ đó, Khu công nghiệp Quảng Trị được kỳ vọng sẽ trở thành điểm đến hấp dẫn đối với các nhà đầu tư trong và ngoài nước, góp phần thúc đẩy quá trình công nghiệp hóa và phát triển kinh tế của tỉnh Quảng Trị trong những năm tới.

III. Các ngành nghề được ưu tiên cấp phép tại Khu công nghiệp Quảng Trị (QTIP)

– Công nghiệp chế biến thực phẩm: sản xuất, chế biến và bảo quản các sản phẩm thực phẩm.
– Sản xuất đồ uống: nước giải khát, nước đóng chai và các loại đồ uống khác.
– Ngành dệt – dệt nhuộm: sản xuất sợi, vải và các hoạt động xử lý, nhuộm vải.
– Sản xuất trang phục: may mặc, gia công quần áo và các sản phẩm thời trang.
– Sản xuất giấy và các sản phẩm từ giấy: bao bì giấy, giấy công nghiệp và các sản phẩm liên quan.
– Sản xuất hóa chất và sản phẩm hóa chất: phục vụ công nghiệp và nông nghiệp.
– Sản xuất thuốc, hóa dược và dược liệu: các sản phẩm phục vụ ngành y tế và chăm sóc sức khỏe.
– Sản xuất phân bón: phục vụ lĩnh vực nông nghiệp và phát triển nông nghiệp công nghệ cao.
– Chế biến gỗ và sản xuất vật liệu từ tre, nứa: ván gỗ công nghiệp, vật liệu từ tre nứa.
– Sản xuất nội thất công nghiệp: đồ nội thất, sản phẩm gỗ phục vụ xây dựng và trang trí.
Các ngành nghề này được định hướng phát triển nhằm hình thành hệ sinh thái công nghiệp đa dạng, phù hợp với quy hoạch phát triển công nghiệp của tỉnh Quảng Trị và nhu cầu của các nhà đầu tư trong và ngoài nước.

IV. Chính sách ưu đãi đầu tư tại Khu công nghiệp Quảng Trị (QTIP)

Nhằm tạo điều kiện thuận lợi cho các doanh nghiệp trong và ngoài nước, Khu công nghiệp Quảng Trị áp dụng nhiều chính sách ưu đãi thuế hấp dẫn, giúp nhà đầu tư tối ưu chi phí và nâng cao hiệu quả hoạt động sản xuất kinh doanh trong dài hạn. Cụ thể:
– Miễn 100% thuế thu nhập doanh nghiệp trong 02 năm đầu, tính từ năm đầu tiên doanh nghiệp có lợi nhuận.
– Giảm 50% thuế thu nhập doanh nghiệp trong 04 năm tiếp theo, giúp doanh nghiệp giảm đáng kể chi phí trong giai đoạn phát triển ban đầu.
– Áp dụng mức thuế suất ưu đãi 17% sau thời gian miễn và giảm thuế theo quy định.
– Sau khi kết thúc các giai đoạn ưu đãi, thuế thu nhập doanh nghiệp được áp dụng theo mức tiêu chuẩn 20% theo quy định hiện hành.
Những chính sách ưu đãi này góp phần tăng sức hấp dẫn cho Khu công nghiệp Quảng Trị, tạo môi trường đầu tư cạnh tranh và hỗ trợ doanh nghiệp ổn định hoạt động, mở rộng sản xuất trong dài hạn.

V. Thời hạn sử dụng đất Khu công nghiệp Quảng Trị (QTIP)

Thời gian sử dụng đất Khu công nghiệp Quảng Trị (QTIP) tọa lạc tại 102A Lê Duẩn, Khóm 9, Xã Diên Sanh, tỉnh Quảng Trị đến tháng 3 năm 2071, trả tiền thuê đất một lần và không phải trả tiền sử dụng đất hàng năm cho Nhà nước.

VI. Cơ sở hạ tầng của Khu công nghiệp Quảng Trị (QTIP)

Cơ sở hạ tầng tại Khu công nghiệp Quảng Trị (QTIP) được đầu tư đồng bộ nhằm đáp ứng nhu cầu hoạt động sản xuất và kinh doanh của các doanh nghiệp. Các hạng mục hạ tầng chính bao gồm:

1. Hệ thống cấp điện:

– Nguồn điện được cung cấp ổn định với tổng công suất khoảng 150 MVA, đảm bảo đáp ứng nhu cầu sử dụng điện cho các nhà máy và hoạt động sản xuất trong khu công nghiệp.

2. Hệ thống cấp nước:

– Nguồn nước sạch được cung cấp với công suất khoảng 28.000 m³/ngày, đạt tiêu chuẩn chất lượng theo quy định, phục vụ cho cả sản xuất công nghiệp và sinh hoạt.

3. Hệ thống xử lý nước thải:

– Khu công nghiệp được trang bị nhà máy xử lý nước thải tập trung công suất khoảng 22.000 m³/ngày, đảm bảo nước thải sau xử lý đạt tiêu chuẩn môi trường trước khi xả ra ngoài.

4. Hạ tầng viễn thông:

– Hệ thống viễn thông hiện đại với khoảng 5.000 đường truyền (line) cùng mạng cáp quang tốc độ cao, đáp ứng nhu cầu kết nối thông tin của doanh nghiệp.

5. Hệ thống giao thông nội khu:

– Các tuyến đường được thiết kế rộng rãi, thuận tiện cho việc di chuyển của các phương tiện vận tải và container, với chiều rộng từ 7,5 m đến 24 m.

6. An ninh và phòng cháy chữa cháy:

– Khu công nghiệp được trang bị hệ thống an ninh hoạt động 24/7, cùng trạm và đội ngũ phòng cháy chữa cháy sẵn sàng ứng phó nhanh với các tình huống khẩn cấp.

7. Cảnh quan và tiện ích:

– Không gian khu công nghiệp được quy hoạch với hệ thống cây xanh và cảnh quan hợp lý, góp phần tạo môi trường sản xuất thông thoáng và bền vững cho doanh nghiệp hoạt động lâu dài.

VII. Tất cả các chi phí liên quan khi đầu tư vào Khu công nghiệp Quảng Trị (QTIP)

Theo thị trường hiện tại ( mới nhất hiện nay) tại Khu công nghiệp Quảng Trị (QTIP) tọa lạc tại 102A Lê Duẩn, Khóm 9, Xã Diên Sanh, tỉnh Quảng Trị
– Giá thuê đất ( 50 năm ) dao động từ 65 USD /m2 tùy vị trí, diện tích
Các chi phí liên quan khi đầu tư vào Khu công nghiệp Quảng Trị (QTIP)
– Chi phí quản lý: 0,3 USD/m2/năm
– Giá điện: Từ 0.03 USD/kWh – 0.1 USD/kWh (phụ thuộc vào thời gian sử dụng điện)
– Giá nước: 0.4 USD/m3, đơn giá nước có thể thay đổi theo từng thời điểm
– Xử lý nước thải: 0,28 USD/m3 (lượng nước thải được tính bằng 80% lượng nước tiêu thụ)
Giá cho thuê tại Khu công nghiệp Quảng Trị (QTIP) được xây dựng theo hướng linh hoạt và cạnh tranh, phù hợp với nhiều loại hình đầu tư khác nhau. Mức giá có thể được điều chỉnh dựa trên các yếu tố như quy mô dự án, thời hạn thuê đất cũng như lĩnh vực sản xuất của doanh nghiệp. Chủ đầu tư luôn sẵn sàng trao đổi và đưa ra phương án giá hợp lý nhằm tạo điều kiện thuận lợi để nhà đầu tư tiếp cận quỹ đất công nghiệp với chi phí hiệu quả. Chính sách giá linh hoạt này không chỉ hỗ trợ doanh nghiệp trong giai đoạn đầu triển khai dự án mà còn thể hiện định hướng hợp tác lâu dài, đồng hành cùng nhà đầu tư trong quá trình phát triển và mở rộng hoạt động tại khu công nghiệp.